Tervalaakso 5 A
02330, Kattilalaakso, Nöykkiö, Espoo
235 000 €
1 290 m²

Tätä asuntoa myy Samuli Lahokoski, Kiinteistönvälittäjä LKV, LVV, KiLAT / SL Kiinteistönvälitys Oy
RE/MAX Casa Alto | SL Kiinteistönvälitys Oy

Sijainti
Asuntoesittely
Kukkulan päällä hieno rakennuspaikka halutulla sijainnilla Espoon Kattilalaaksossa!
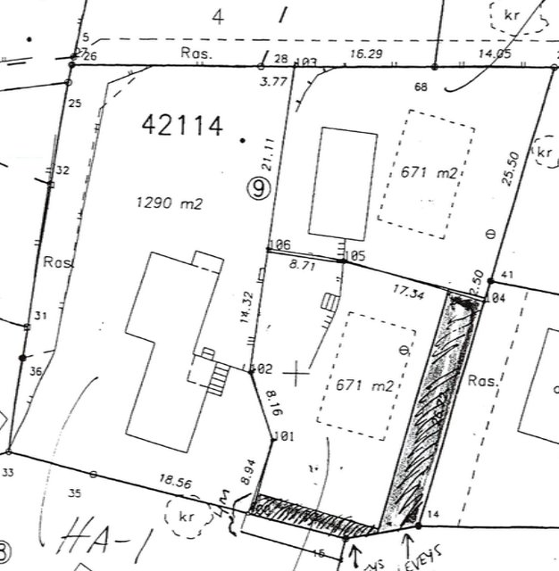
Tontti sijaitsee Tervalaakson korkeimmalla kohdalla, ja sen iso puistomainen piha tarjoaa runsaasti tilaa nauttia luonnonläheisyydestä. Nykyinen rakennus on purkukuntoinen, ja ostaja vastaa purkukustannuksista. Myytävän määräosan pinta-ala on hallinnanjakosopimuksen mukaan 1290 m², mikä antaa runsaasti tilaa erilaisille rakennusratkaisuille. Määräosalla on rakennusoikeutta 192,5 k-m2 + 79 k-m2 talousrakennukselle.
Kattilalaakso on rauhallinen ja viihtyisä asuinalue, joka tarjoaa erinomaiset puitteet perhe-elämälle. Alueella on hyvät palvelut ja kulkuyhteydet. Espoon monipuoliset harrastusmahdollisuudet ovat myös lähellä.
Tartu tilaisuuteen ja tule tutustumaan tähän potentiaaliseen tonttiin, jossa voit luoda oman kotisi juuri sellaiseksi kuin haluat! Vapautuminen on sovittavissa, joten voit aloittaa uuden projektisi joustavasti.
ESITTELYT JA LISÄTIEDOT
Samuli Lahokoski
Kiinteistönvälittäjä LKV, LVV, KiLAT
050 367 9735
[email protected]
RE/MAX Casa Alto
Onko oma asunto myymättä? Pyydä minut maksuttomalle arviokäynnille!
Perustiedot
- Sijainti
- Tervalaakso 5 A, 02330, Kattilalaakso, Nöykkiö, Espoo
- Lisätiedot pinta-alasta
- Purettava talo on noin 200 m2.
- Kohteen tyyppi
- Omakotitalotontti
- Kohde myydään vuokrattuna
- Ei
- Vapautuminen
- Sopimuksen mukaan, mutta viimeistään 3 kuukautta kaupanteosta
- Lisätietoja vapautumisesta
- Vapautuminen on sovittavissa.
Hinta ja kustannukset
- Velaton hinta
- 235 000 €
- Myyntihinta
- 235 000 €
- Sähköliittymä siirtyy
- Kyllä
Tilat ja materiaalit
Lisätiedot
- Lisätietoja kunnosta
- Rakennus myydään purkukuntoisena. Purkukustannuksista vastaa ostaja.
- Piha
- Iso puistomainen piha Tervalaakson korkeimmalla kohdalla.
Taloyhtiö ja kiinteistö
- Tontin pinta-ala
- 1 290 m²
- Tontin omistus
- Oma
- Tontin tyyppi
- Rinnetontti
- Tontin myyntityyppi
- Määräosa
- Tontin tiedot
- Tontti on jaettu hallinnanjakosopimuksella kolmeen osaan. Koko tontin pinta-ala on hallinnanjakosopimuksen mukaan 2 632 m2. Myytävän määräosan pinta-ala on 1 290 m2.
- Rakennusmateriaali
- Puu ja betoni
- Lämmitysjärjestelmä
- Öljy
- Vesijohto
- Kunnallisvesi
- Viemäröinti
- Kunnallinen viemäriverkosto
- Rakennusoikeus
- 192.5
- Lisätietoa rakennusoikeudesta
- Hallinnanjakosopimuksen mukaan myytävälle määräosalla on rakennusoikeutta 192,5 k-m2 Määräosalle on myönnetty talousrakennuksen lisärakennusoikeus 79 k-m2.
- Rakennusoikeus e-luku
- 0.2
- Tie perille
- Kyllä
- Kaavatilanne
- Asemakaava
- Kaavoitustiedot
- Tontti on asemakaava-alueella. Myytävälle määräosalle saa kaavan mukaan rakentaa yhden asuinrakennuksen.
- Asbestikartoitus
- Ei
- Lisätietoa asbestikartoituksesta
- Asbestikartoitusta ei ole tehty. Ostaja vastaa asbestikartoituksesta talon purun yhteydessä ja mahdollisesta asbestipurusta.
