Pikkujärventie 8
01680, Vantaa
239 000 €
143 m²

Tätä asuntoa myy Antti Himanen, Ylempi kiinteistönvälittäjä, LKV
Sp-Koti Vantaa Tarina | Satukodit Oy

Sijainti
Asuntoesittely
Tilava ryhdikäs omakotitalo Vantaan Askistossa!
Nyt kuntotarkastettu
Tämä tilava omakotitalo Vantaalla, Pikkujärventiellä, tarjoaa erinomaiset puitteet perhe-elämälle. Vuonna 1970 valmistunut talo on kokenut merkittäviä uudistuksia, kuten yläkerran sähkö- ja vesijärjestelmien uusimisen sekä pintaremontin vuonna 2019. Lisäksi ilmalämpöpumppu asennettiin vuonna 2022, mikä parantaa energiatehokkuutta.
Talo sijaitsee rauhallisella asuinalueella, jossa koulut ja päiväkodit ovat lähellä, mikä tekee siitä ihanteellisen lapsiperheille. Askiston puisto tarjoaa mahdollisuuksia ulkoiluun ja rentoutumiseen. Hyvät liikenneyhteydet, kuten lähistöllä oleva bussipysäkki ja sujuvat yhteydet autolla, helpottavat arkea.
Kahdessa kerroksessa on yhteensä viisi makuuhuonetta, mikä tarjoaa runsaasti tilaa perheen jokaiselle jäsenelle. Olohuoneen takka luo tunnelmaa, ja sauna tarjoaa rentoutumishetkiä. Auton saat näppärästi talliin.
Talon alakerta on vielä alkuperäiskuntoinen joten pääset toteuttamaan omaa suunnitelmaasi ja tehdä siitä juuri itselle sopivan tilan. Lisäksi alakerrassa on aikaisemmin erillisenä yksiönä toiminut tila, joka on tällä hetkellä purettuna kylmänä tilana.
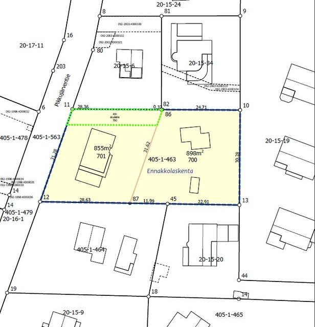
Myydään määräala 855m2. Mahdollisuus myös ostaa koko kiinteistö 1760m2 (kysy hinta)
Tartu tilaisuuteen ja tule tutustumaan tähän monien mahdollisuuksien kotiin, joka odottaa uusia asukkaita!
Myynti ja tiedustelut
Sp-Koti Antti Himanen, 0442764636 tai [email protected]Pohjakuva

Perustiedot
- Sijainti
- Pikkujärventie 8, 01680, Vantaa
- Huoneluku
- 6
- Asuinpinta-ala
- 143 m²
- Muu pinta-ala
- 105 m²
- Kokonaispinta-ala
- 248 m²
- Pinta-alan peruste
- Pinta-ala ei ole tarkistusmitattu ja todellinen pinta-ala voi olla suurempi tai pienempi, kuin ilmoitettu
- Lisätiedot pinta-alasta
- Rakennus ja huoneistorekisteriotteen mukaan talossa on 143 asuinneliötä ja yhteensä 248 kerrosalaneliötä.
- Kohteen tyyppi
- Omakotitalo
- Kerros
- 2
- Rakennusvuosi
- 1970
- Käyttöönottovuosi
- 1970
- Kohde myydään vuokrattuna
- Ei
- Vapautuminen
- Heti
Hinta ja kustannukset
- Myyntihinta
- 239 000 €
- Kokonaissähkön kulutustiedot
- 5000 kWh / vuosi
- Keskimääräinen lämmityskustannus
- 150 € / kk
- Vesi ja jätevesi (€/kk)
- 20 €
- Puhtaanapito (€/kk)
- 20 €
- Sähköliittymä siirtyy
- Kyllä
- Neliöhinta
- 1 671,33 € / m²
- Lisätietoja maksusta
- Kiinteistövero määräytyy lohkottavan määräalan mukaiseksi. Sähkön kulutustiedot perustuvat omistajan arvioon kohteen sähkönkulutuksesta.
Tilat ja materiaalit
- Keittiön lattiat
- Laminaatti
- Keittiön seinät
- Maali
- Keittiön varusteet
- Jääkaappipakastin, liesi, ja uuni
- Liesi
- Keraaminen liesi
- Kylpyhuoneen seinät
- Kaakeli
- Kylpyhuoneen lattiat
- Laatta
- Kylpyhuoneen varusteet
- Suihku, suihkuseinä, ja lattialämmitys (Sähkötoiminen)
- WC Lukumäärä
- 2
- Erillinen WC
- Kellarin WC alkuperäiskuntoinen.
- WC:n lattiat
- Laatta
- WC:n seinät
- Kaakeli
- Makuuhuoneiden lukumäärä
- 5
- Makuuhuoneiden seinät
- Maali
- Makuuhuoneiden lattiat
- Laminaatti
- Olohuoneen seinät
- Maali
- Olohuoneen lattiat
- Laminaatti
- Kodinhoitohuoneen varusteet
- Lattialämmitys (Vesikiertoinen (ei kytketty)), pöytätaso, pesukoneliitäntä, ja pesukone
- Kodinhoitohuoneen seinät
- Maali
- Kodinhoitohuoneen lattiat
- Laatta
- Säilytystilojen kuvaus
- Alakerrassa purettu osio jossa ollut aikanaan oma asunto.
- Kohteen säilytystilat
- Kylmä ulkovarasto, kaapistot ja autotalli
- Sauna
- Kyllä
- Kiuas
- Puukiuas
- Takka
- Takka ja hormi olemassa
Lisätiedot
- Asunnon kunto
- Tyydyttävä
- Lisätietoja kunnosta
- Kuntotarkastus tulossa.
- Parveke
- Ulostyönnetty parveke
- Parvekkeen ilmansuunta
- Itä
- Terassi
- Ei
- Ranta
- Ei rantaa
- Hissi
- Ei
- Kohde on saaressa
- Ei
- Muuta kauppaan kuuluvaa
- Pyykinpesukone Polttopuut kuuluvat kauppaan
Taloyhtiö ja kiinteistö
- Tontin pinta-ala
- 855 m²
- Tontin omistus
- Oma
- Tontin tyyppi
- Rinnetontti
- Tontin myyntityyppi
- Määräala
- Rakennusmateriaali
- Betoni ja tiili
- Lämmitysjärjestelmä
- Öljy Sähkö Kustannukset: 5000 kWh / vuosi Ilmalämpöpumppu Vesivaraaja
- Ilmanvaihto
- Painovoimainen ilmanvaihto
- Vesijohto
- Kunnallisvesi
- Viemäröinti
- Kunnallinen viemäriverkosto
- Kattotyyppi
- Pulpettikatto
- Katon kunto
- Tyydyttävä
- Katemateriaali
- Huopa
- Rakennusoikeus
- 171
- Rakennusoikeus e-luku
- 0.2
- Kohteesta on energiatodistus
- Ei lain edellyttämää energiatodistusta
- Liikenneyhteydet
- Bussipysäkki lähellä ja sujuvat yhteydet omalla autolla
- Tie perille
- Kyllä
- Kaavatilanne
- Asemakaava
- Rakennusvaihe
- Valmis
- Asbestikartoitus
- Ei
Tehdyt remontit
Yläkerran sähköjärjestelmä ja sähkötaulu uusittu vuonna 2019
Yläkerran vesiputket / patteriputket vaihdettu 2019
Yläkerran pintaremontti tehty vuonna 2019
Yläkerran kylpyhuone / wc uusittu vuonna 2019
Ilmalämpöpumpun asennus vuonna 2022
