
Tätä asuntoa myy Samu Saarnio, Kiinteistönvälittäjä, LKV, Kaupanvahvistaja
Aurea LKV

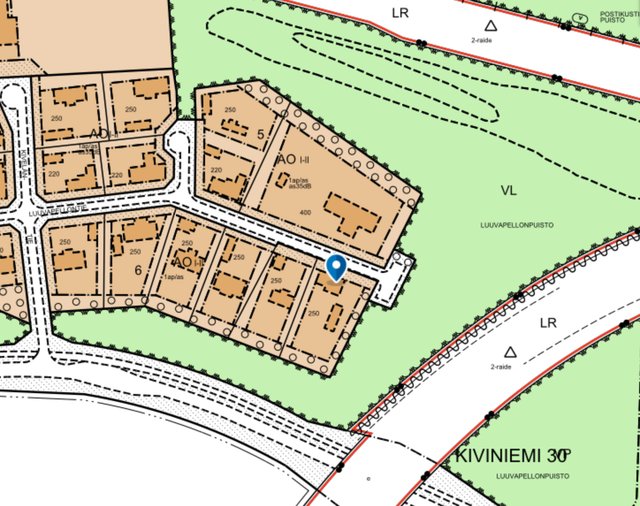
Sijainti
Asuntoesittely
Omakotitalotontti Oulun Kiviniemessä, Kleemolan alueella. Kiinteistö myydään uuden rakennuksen rakennuspaikaksi. Kiinteistöllä sijaitsee vanha asuinrakennus ja talousrakennus, joille ei ole laskettu minkäänlaista arvoa, kiinteistön arvo perustuu maapohjan ja rakennusoikeuden arvoon. Tontilla on rakennusoikeutta 250m2 ja kaavamerkintä AO, joka mahdollistaa rakentaa yksi- tai kaksiasuntoisia pientaloja asumistarkoituksiin. Kaava mahdollistaa rakentaa paritaloja tai erillistaloja.
Tontti rajautuu toisesta sivustaan peltomaisemaan, joka merkitty asemakaavassa lähivirkistysalueeksi. Myös tontin eteläpäädyssä puistoalueeksi merkittyä aluetta. Asemakaavassa pellolle on merkitty varaus rautatiealueelle, johon suunniteltu 2-raide.
Mikäli herää kysyttävää, niin ole rohkeasti yhteydessä:
Samu Saarnio
p. 040 7215991 tai [email protected]
Perustiedot
- Sijainti
- Luuvapellontie 1, 90410, Kiviniemi, Oulu
- Kohteen tyyppi
- Omakotitalotontti
- Kohde myydään vuokrattuna
- Ei
- Vapautuminen
- Heti
Hinta ja kustannukset
- Velaton hinta
- 80 000 €
- Myyntihinta
- 80 000 €
Tilat ja materiaalit
Lisätiedot
- Lisätietoja kunnosta
- Rakennusten kuntoa ei ole tutkittu, eikä rakennuksille ole laskettu minkäänlaista arvoa. Kiinteistön arvo perustuu maapohjan ja rakennusoikeuden arvoon. Ostaja vastaa rakennusten purkamisesta kustannuksellaan.
Taloyhtiö ja kiinteistö
- Tontin pinta-ala
- 2 038 m²
- Tontin omistus
- Oma
- Tontin tyyppi
- Tasamaatontti
- Tontin myyntityyppi
- Koko tontti
- Tontin tiedot
- Tontilla vanha purkukuntoinen talo ja talousrakennus. Tontti myydään uuden rakennuksen rakennuspaikaksi, ostaja vastaa tontilla sijaitsevien rakennusten purkamisesta ja niistä aiheutuvista kustannuksista. Kaavamerkintä AO = Erillispientalojen korttelialue. Alueelle saadaan rakentaa yksi- tai kaksiasuntoisia pientaloja asumistarkoituksiin.
- Rakennusoikeus
- 250
- Lisätietoa rakennusoikeudesta
- Asemakaavan mukainen rakennusoikeus 250m2.
- Kaavatilanne
- Asemakaava
- Kaavoitustiedot
- Oulun kaupungilta
