Kartanonrannantie 16
13250, Katinen, Hämeenlinna
89 000 €
1 450 m²

Tätä asuntoa myy Petri Autio, Toimitusjohtaja/Yrittäjä, Kiinteistönvälittäjä LKV, LVV, KiAT, YJEAT, IAT
Autiotalot LKV Oy

Sijainti
Asuntoesittely
Nyt myynnissä määräala 1633 m2 järvimaisemilla, joka tarjoaa tilaa luovuudelle ja suunnittelulle. Tontin rajalta matkaa Katumajärveen n. 40m. Kaupungin omistamasta rannasta pääsee mukavasti aamu-uinnille tai vaikkapa koiria uittamaan. Katumajärvi on viihtyisä ja rauhallinen järvi Hämeenlinnan keskustan tuntumassa.
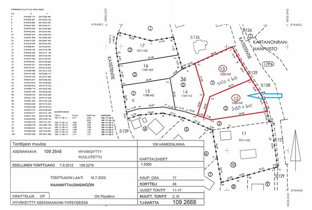
Määräala tulee muodostamaan Hämeenlinnan kaupungin asemakaavatontin 109-17-36-13. Os. Kartanonrannantie 14 on mahdollisuus rakentaa unelmiesi talo: rakennusoikeus on 350 krs -m2 + 60 krs-m2. Määräala sijaitsee rauhallisella alueella, jossa yhdistyvät luonnonläheisyys ja hyvät liikenneyhteydet. Myyjä vastaa kohteen lohkomiskuluista. Kunnallistekniikkaan liittyminen on mahdollista Kartanonrannantien puolelta.
Hämeenlinnan keskustan palvelut ovat kätevästi saavutettavissa, ja sujuvat yhteydet autolla tekevät arjen liikkumisesta vaivatonta. Tartu tilaisuuteen ja suunnittele oma kotisi tälle upealle tontille, jossa rauha ja käytännöllisyys kohtaavat.
Lisätiedot ja esittelyt Petri Autio p. 040 456 0550.
Perustiedot
- Sijainti
- Kartanonrannantie 16, 13250, Katinen, Hämeenlinna
- Kohteen tyyppi
- Omakotitalotontti
- Kohde myydään vuokrattuna
- Ei
- Vapautuminen
- Heti
Hinta ja kustannukset
- Velaton hinta
- 89 000 €
- Myyntihinta
- 89 000 €
Tilat ja materiaalit
Lisätiedot
- Ranta
- Tontin rajalta Katumajärven rantaan vain n. 40m
- Muut kaupan kannalta merkittävät tiedot
- Tontin rajalta Katumajärven rantaan vain n. 40m. Kaupungin omistamasta rannasta pääsee mukavasti aamu-uinnille tai vaikkapa koiria uittamaan. Katumajärvi on viihtyisä ja rauhallinen järvi Hämeenlinnan keskustan tuntumassa.
Taloyhtiö ja kiinteistö
- Tontin pinta-ala
- 1 450 m²
- Tontin omistus
- Oma
- Tontin myyntityyppi
- Koko tontti
- Vesijohto
- Kunnallistekniikkaan liittyminen mahdollista Kartanonrannantien puolelta.
- Viemäröinti
- Kunnallistekniikkaan liittyminen mahdollista Kartanonrannantien puolelta.
- Lisätietoa rakennusoikeudesta
- Hämeenlinnan kaupunki
- Liikenneyhteydet
- Sujuvat yhteydet omalla autolla, bussipysäkki lähellä ja hyvä kulkuyhteys
- Lisätietoja liikenneyhteyksistä
- Bussipysäkille 10m (linjat 4 ja 11).
- Paikallistiedot
- Hämeenlinnan keskusta noin 3,5km.
- Palvelut
- Kauppa: S-Market 1,6km.
- Kaavatilanne
- Asemakaava
- Kaavoitustiedot
- AO II (rakennettava kahteen kerrokseen) 300 krs-m2 + 60 krs-m2
