Friisiläntie 35 B
02240, Friisilä, Olari, Espoo
230 000 €
602 m²

Tätä asuntoa myy Carl Michael Hatanmaa, Yrittäjä, kiinteistönvälittäjä LKV
Sp-Koti Espoo Tapiola CMH | CMH-Koti Oy

Sijainti
Asuntoesittely
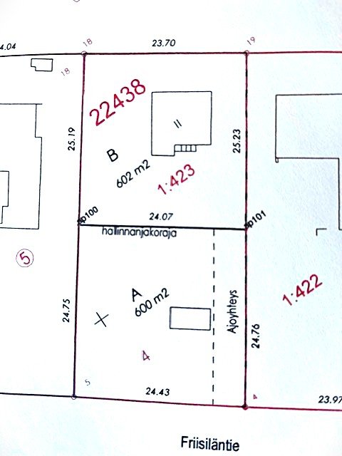
Friisilän rauhallisella ja vehreällä alueella Espoossa sijaitsee tämä ainutlaatuinen tontti, joka tarjoaa mahdollisuuden rakentaa unelmiesi omakotitalon. Tontti on kooltaan 1202 m² ja siitä myydään B määräosa 602m² hallinnanjakosopimuksella, ro. 150m2, määräosalla purettava rakennus.
Alueella yhdistyvät luonnonläheisyys ja kaupungin palvelut. Friisilä tunnetaan viihtyisänä asuinalueena, jossa on erinomaiset ulkoilumahdollisuudet sekä hyvät yhteydet niin Espoon keskukseen kuin Helsingin keskustaan. Läheltä löytyvät myös koulut, päiväkodit ja monipuoliset ostosmahdollisuudet.
Tontti rajoittuu puistoon ja tarjoaa oivan tilaisuuden luoda juuri sellainen koti kuin haluat. Rakentaminen voi alkaa vuonna 2026, joten nyt on hyvä hetki suunnitella tulevaa ja varmistaa paikkasi tällä halutulla alueella.
Tartu tilaisuuteen ja tule tutustumaan tähän potentiaaliseen tonttiin, josta voi tulla sinun tulevaisuuden kotisi sijainti. Friisilän rauhallinen ympäristö ja erinomaiset palvelut tekevät tästä kohteesta houkuttelevan vaihtoehdon perheille ja kaikille, jotka arvostavat laadukasta asumista.
Perustiedot
- Sijainti
- Friisiläntie 35 B, 02240, Friisilä, Olari, Espoo
- Kohteen tyyppi
- Omakotitalotontti
- Rakennusvuosi
- 2026
- Käyttöönottovuosi
- 2026
- Kohde myydään vuokrattuna
- Ei
- Vapautuminen
- Heti
Hinta ja kustannukset
- Velaton hinta
- 230 000 €
- Myyntihinta
- 230 000 €
- Sähköliittymä siirtyy
- Kyllä
Tilat ja materiaalit
Lisätiedot
- Asunnon kunto
- Välttävä
Taloyhtiö ja kiinteistö
- Tontin pinta-ala
- 602 m²
- Tontin omistus
- Oma
- Tontin tyyppi
- Tasamaatontti
- Tontin myyntityyppi
- Määräosa
- Viemäröinti
- Kunnallinen viemäriverkosto
- Rakennusoikeus
- 150
- Lisätietoa rakennusoikeudesta
- Ro. määritelty hallinnanjakosopimuksella.
- Rakennusoikeus e-luku
- 0.25
- Kiinteistöön kuuluu
- Tontilla purettava talo
- Tie perille
- Kyllä
- Kaavatilanne
- Asemakaava
- Kaavoitustiedot
- 22438, AO II, e=0.25