Akatemiantie 7
02700, 7 kaupunginosa, Kauniainen
579 000 €
1 156,5 m²

Tätä asuntoa myy Tomi Sarlin, Toimitusjohtaja, Kiinteistönvälittäjä, LKV
Ylinkerros Oy

Sijainti
Asuntoesittely
Upealla sijainnilla Kauniaisissa 1156,5 m2 rakennuspaikka jopa 350 k-m2 omakotitalolle.
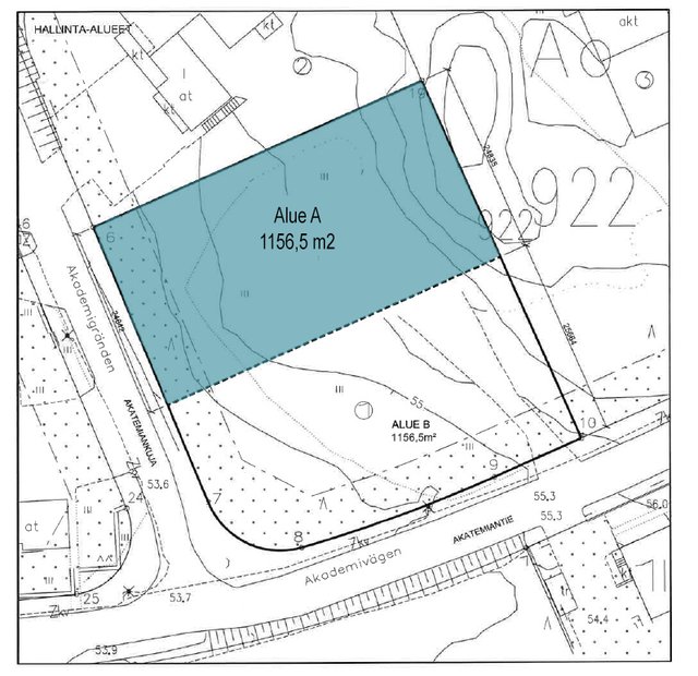
Päättyvän tien päässä on myynnissä hallinnanjakosopimuksella kahteen määräosaan jaettu kiinteistö, johon on poikkeamispäätöksellä saatu kaavasta poikkeava lupa kahdelle erillistalolle. Kaavan mukainen rakennusoikeus on hallinnanjakosopimuksella jaettu puoliksi, jolloin nyt myytävän hallinta-alue A:lle saa rakentaa yhden omakotitalon, jolla rakennusoikeus on hulppeat 350 k-m2.
Kiinteistölle on alustavasti myönnetty lupa kahdelle ajoliittymälle, jolloin nyt myytävälle hallinta-alue A:lle kulku tapahtuisi Akatemiankujalta. Hallinta-alueet ovat myös sopineet keskenään omista vesi- ja viemäriliittymistä.
Tontille on tehty rakennusoikeuden mukaiset suunnitelmat näyttävälle kolmikerroksiselle omakotitalolle, joita ostaja voi halutessaan hyödyntää. Lisäksi pohjatutkimuslausunto on valmiiksi tehtynä ja kunnallistekniikkakin sijaitsee tontin rajalla.
Hallinta-alue B:llä käynnistyy lähiaikoina rakennushanke, ja kahdella vierekkäisellä hankkeella voi saavuttaa merkittäviä kustannushyötyjä.
Toimi nopeasti. Tällaisia on tarjolla vain harvoin!
Lisätiedot ja esittelyt: Ylinkerros Oy/ Tomi Sarlin p. 050 365 9200, tomi.sarlin (at) ylinkerros.fi
Perustiedot
- Sijainti
- Akatemiantie 7, 02700, 7 kaupunginosa, Kauniainen
- Kohteen tyyppi
- Omakotitalotontti
- Kohde myydään vuokrattuna
- Ei
- Vapautuminen
- Heti
Hinta ja kustannukset
- Velaton hinta
- 579 000 €
- Myyntihinta
- 579 000 €
Tilat ja materiaalit
Lisätiedot
Taloyhtiö ja kiinteistö
- Tontin pinta-ala
- 1 156,5 m²
- Tontin omistus
- Oma
- Tontin tyyppi
- Rinnetontti
- Tontin myyntityyppi
- Määräosa
- Tontin tiedot
- Kauniaisten kaupunkivaliokunta on 13.8.2024 pitämässään kokouksessa "pitänyt toista tieliittymää mahdollisena" kiinteistölle. Esitettynä on ollut hallinta-alueelle A kulkeminen Akatemiankujan kautta ja hallinta-alue B:lle kulkeminen Akatemiantien kautta. Kiinteistöltä on purettu vanha asuinrakennus. Purkutyö on loppukatselmoitu 31.1.2024. Koko kiinteistön koko on 2313 m2
- Lisätietoja vesiputkesta
- Kunnallinen vesi- ja viemärijohto sekä sähkö kulkevat tontin reunalla. Tontilla on myös vanahn puretun rakennuksen tekniikkaa (ks. johtokartta). Määräosa B:n omistajan kanssa on sovittu, että HSY:ltä haetaan kullekin hallinta-alueelle oma sopimus, oma vesimittari ja oma vesiliittymä. Kumpikin hallinta-alue vastaa omista liittymismaksuista.
- Lisätietoa rakennusoikeudesta
- Kauniaisten kaupungin kiinteistörekisterin mukaan koko kiinteistön rakennusoikeus on 700 k-m2. Hallinnanjakosopimuksella rakennusoikeus on jaettu puoliksi, jolloin nyt myytävän hallinta-alueen rakennusoikeus on 350 k-m2. Ks. Kiinteistörekisteriote sekä hallinnanjakosopimus.
- Lisätietoja liikenneyhteyksistä
- Asematien pysäkille n. 400 m, mistä yhteydet 533 (Hyljeveneentie - Järvenperä) ja 549 (Tapiola M - Jorvi) sekä Kauniaisen kiertävä lähibussi 232 (Kirkkotie-Kirkkotie).
- Palvelut
- Kauppakeskus Granin kattavat palvelut (mm. ruokakaupat, apteekki, kauneus- ja terveyspalvelut, kukkakauppa, ruokaravintolat) n. 2 km. Terveysasema n. 1 km, Keskusurheilukentän alue, jossa mm. yleisurheilukenttä, uimahalli, tenniskentät ym. n. 650 m. Jäähalli, palloiluhalli ja Kauniaisten hiihtokeskus n. 1 km. Kasavuoren upeat ulkoilualueet alkavat n. 1 km päästä. Gallträskin uimapaikka n. 2km.
- Koulut
- Mäntymäen koulu (suomenkielinen 1.-6.lk) n. 1,2 km, Kasavuoren koulu (suomenkielinen 7.-9.lk) n. 1 km. Granhultsskolan (ruotsinkielinen 1.-6.lk) n. 800m, Hagelstamska skolan (ruotsinkielinen 7.-9.lk) n. 1,8 km. Kauniaisten lukio n. 1,2 m, Gymnasiet Grankulla samskola n. 1,5km.
- Kaavatilanne
- Asemakaava
- Kaavoitustiedot
- Kaavamääräyksistä poiketen kiinteistölle on myönnetty poikkeamislupa, missä kiinteistölle saa rakentaa kaksi erillistä pientaloa. Poikkeuslupa vanhenee 24.1.2026, jonka jälkeen se voidaan uusia.
